有限会社アイ・ホーム > 有限会社アイ・ホームのスタッフブログ記事一覧 > 【売却済み】☆糸満市名城土地☆

【売却済み】☆糸満市名城土地☆

≪ 前へ|【売却済】☆糸満市糸満の海の見える古民家です☆   記事一覧   【売却済み】☆八重瀬町港川にオーシャンビューの戸建て物件☆|次へ ≫

【売却済み】☆糸満市名城土地☆

カテゴリ:売土地


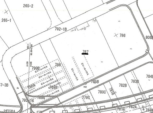
☆糸満市名城に331坪の農振農業用地☆
☆農業従事者にオススメ☆

◎土地面積:1097㎡(331.8坪)
◎都市計画:市街化調整区域
◎農振農業用地
◎建ぺい率60% 容積率200%


成約済み
◎価格 ***万円

















≪ 前へ|【売却済】☆糸満市糸満の海の見える古民家です☆   記事一覧   【売却済み】☆八重瀬町港川にオーシャンビューの戸建て物件☆|次へ ≫
  • 掲載物件数
    ロード中
    公開物件数
    ロード中
    本日の更新件数
    ロード中
  • 売買物件はこちら
  • 会員バナー
  • 会員ログイン
  • 動画特集
  • オーナー様募集
  • スタッフ紹介
  • スタッフブログ
  • 物件カタログ
  • YouTube あいあい・ほむほむch
  • CMでアイ・ホームをご紹介
    Instagram
  • 周辺施設検索
  • 更新物件情報

    2026-03-14
    仲井真マンションの情報を更新しました。
    2026-03-13
    グランパ23の情報を更新しました。
    2026-03-13
    Rise の情報を更新しました。
    2026-03-13
    エレガントスタイルSの情報を更新しました。
    2026-03-13
    東宝ビル21の情報を更新しました。
    2026-03-13
    コンフォルト・リュウの情報を更新しました。
    2026-03-13
    グランディールの情報を更新しました。
    2026-03-13
    マンション昌の情報を更新しました。
    2026-03-13
    ニューハンズ上原の情報を更新しました。
    2026-03-13
    東宝ビル11の情報を更新しました。
  • 会社概要

    会社概要
    有限会社アイ・ホーム
    • 〒901-0305
    • 沖縄県糸満市西崎2丁目17-13
    • TEL/098-994-5988
    • FAX/098-994-5989
    • 沖縄県知事 (4) 第3720号
  • QRコード
  • 不動産総合ポータルサイトいえらぶ参加中

大濱 礼人 最新記事



大濱 礼人

☆明るく元気いっぱいです♪仲間と和気あいあいと呑むお酒が大好きな34歳です☆

スタッフ情報を見る

 おすすめ物件


グランディール

グランディールの画像

賃料
6.3万円
種別
マンション
住所
沖縄県島尻郡八重瀬町字後原500
交通
後原バス停
 

コンフォルト・リュウ

コンフォルト・リュウの画像

賃料
8.3万円
種別
マンション
住所
沖縄県糸満市字武富153-A
交通
赤嶺駅
徒歩71分

ビューテラスみなみ

ビューテラスみなみの画像

賃料
5.8万円
種別
アパート
住所
沖縄県豊見城市字豊見城598-2
交通
奥武山公園駅
徒歩30分

マチタマンション

マチタマンションの画像

賃料
6.9万円
種別
マンション
住所
沖縄県糸満市字真栄里1431-1
交通
赤嶺駅
徒歩111分

トップへ戻る